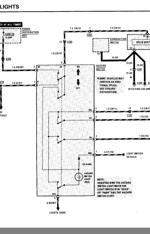
Hey guys. Like the title suggests, I am curious if I can tie the hazard light switch to a toggle switch? You might ask why I would want to do this, and the answer is simply that I am not running a standard dash anymore as my car has been gutted for a track car. I have a custom switch panel in the center of the dash now, and I have a free toggle I would like top use if possible for this. I have never been good at cutting out perfectly square holes that the stock switch could sit in, so my preference would be to attach it to a toggle instead.
Is there any reason why I couldn't do this? Could anyone point me in the right direction to getting the right wires hooked up?
Is there any reason why I couldn't do this? Could anyone point me in the right direction to getting the right wires hooked up?

Comment